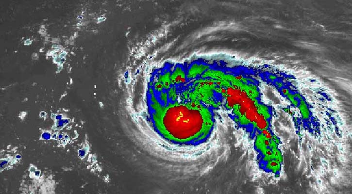
ঢাকা: ২০২৩ সালে যতগুলো টাইফুন সংঘটিত হয়েছে, সেগুলোর চেয়ে আরও বেশি শক্তিশালী একটি টাইফুন ধেয়ে আসছে দক্ষিণপূর্ব এশিয়ার দেশ ফিলিপাইনের দিকে। এর নাম ‘সুপার টাইফুন মাওয়ার’ যেটি শনিবার (২৭ মে) ক্যাটাগরি-৫ এ রূপ নিয়েছে।
অবশ্য, মহাসাগরীয় অঞ্চলে প্রবেশের পর ফিলিপাইন কর্তৃপক্ষ এর নাম দিয়েছে ‘বেটি’।
যুক্তরাষ্ট্রের জয়েন্ট টাইফুন ওয়ার্নিং সেন্টারের বরাত দিয়ে এ তথ্য জানিয়েছে দ্য ইন্ডিপেনডেন্ট।
খবরে বলা হয়েছে, বেটি বা সুপার টাইফুন মাওয়ার ২৭০ কিলোমিটার গতির শক্তি সঞ্চার করছে।
সর্বশেষ আপডেটের মাধ্যমে ফিলিপাইনের আবহাওয়া দপ্তর জানিয়েছে, তাদের দেশের অধিকাংশ অঞ্চলে বজ্র বৃষ্টির ব্যাপক সম্ভাবনা রয়েছে। এ ছাড়া অঞ্চলগুলোয় ভূমি ধসের সতর্কতা দেওয়া হয়েছে। কারণ, টাইফুনটি শক্তি ধরে রেখেছে। তা ছাড়া এটি উত্তরদিকে এগিয়ে আসছে।
ইতোমধ্যে ফিলিপাইনের রাজধানী ম্যানিলায় বিমান চলাচল বন্ধ করে দেওয়া হয়েছে। এছাড়া সব ধরনের নৌযান চলাচলে নিষেধাজ্ঞা দেওয়া হয়েছে।
গতকাল শুক্রবার (২৬ মে) রাতে টাইফুনটি ফিলিপাইনের সবচেয়ে ঘনবসতি ও বড় দ্বীপ লুজোনোর ১ হাজার ৪৫০ কিলোমিটার দূরে অবস্থান করছিল। ওই সময় ঝড়টির বাতাসের গতিবেগ প্রতি ঘণ্টায় ৩০০ কিলোমিটার পর্যন্ত ওঠে।
মার্কিন আবহাওয়াভিত্তিক সংস্থা টাইফুন ওয়ার্নিং সেন্টার জানায়, টাইফুনটি এ সময় ২৭ কিলোমিটার পূর্ব দিকে সরে যাচ্ছিল। আগামীকাল রোববার (২৭ মে) অথবা সোমবার (২৯ মে) টাইফুন মারওয়ার উপকূলের কাছাকাছি আসবে। এর প্রভাবে ব্যাপক বৃষ্টিপাত, বন্যা, ভূমিধস হওয়ার সম্ভাবনা রয়েছে। আবহাওয়ার পূর্বাভাসে প্রচণ্ড বেগে বাতাস বয়ে যাবে বলেও উল্লেখ রয়েছে।
টাইফুন মাওয়ারকে ‘বিধ্বংসী’ হিসেবে অভিহিত করেছে জাপানের আবহাওয়া অ্যাসোসিয়েশন। সংস্থাটি জানিয়েছে, মাওয়ার গতিবেগ বর্তমানে ঘণ্টায় ১৯৪ কিলোমিটার।
এর আগে গত বুধবার টাইফুনটি শক্তি সঞ্চার করার আগে কিছুটা দুর্বল হয়ে গুয়াম দ্বীপের পাশ দিয়ে বয়ে যায়। এ সময় গুয়ামে প্রচণ্ড বৃষ্টি হয়। প্রবল বাতাসে অঞ্চলটির গাড়ি উড়ে যায়, উপড়ে যায় গাছপালা। বিদ্যুৎ বিচ্ছিন্ন হয়ে পড়েন দ্বীপের ৫২ হাজার বাসিন্দা।
মারওয়ার প্রভাবে দ্বীপটিতে কোনো প্রাণহানি হয়নি। তবে ক্ষতিগ্রস্ত হয়েছে বহু অবকাঠামো।
বিশেষজ্ঞদের মত, পৃথিবীতে মে মাসে যত টাইফুন আঘাত হেনেছে এর মধ্যে সবচেয়ে শক্তিশালী পাঁচ টাইফুনের মধ্যে মাওয়ার অন্যতম।
প্রশান্ত মহাসাগরের দেশ ফিলিপাইন প্রায়ই টাইফুনের কবলে পড়ে। ২০২১ সালে দেশটিতে একটি টাইফুনের আঘাতে ৪০০ মানুষের মৃত্যু হয়েছিল।
সোনালীনিউজ/আইএ







































